
Τυφώνας Μελίσα: Ο ισχυρότερος τυφώνας στην ιστορία του Ατλαντικού σαρώνει την Τζαμάικα με ανέμους 300 χλμ./ώρα
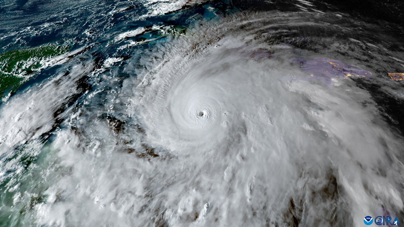
Ο τυφώνας Μελίσα συνεχίζει να ενισχύεται όσο πλησιάζει την Τζαμάικα, με σταθερούς ανέμους που αγγίζουν τα 300 χιλιόμετρα την ώρα στο κέντρο του, σύμφωνα με το Εθνικό Κέντρο Τυφώνων των ΗΠΑ.
Η ένταση των ανέμων καθιστά τη Μελίσα τη δεύτερη ισχυρότερη καταιγίδα στην ιστορία του Ατλαντικού, μετά τον τυφώνα Άλεν του 1980, ο οποίος είχε φτάσει τα 305 χιλιόμετρα την ώρα. Οι Αρχές προειδοποιούν τους κατοίκους να καταφύγουν άμεσα σε ασφαλή καταφύγια και να τοποθετήσουν όσο το δυνατόν περισσότερους τοίχους ανάμεσα στους ίδιους και τον εξωτερικό χώρο. «Αυτή είναι η τελευταία ευκαιρία να προστατεύσετε τη ζωή σας» αναφέρεται χαρακτηριστικά στην ανακοίνωση του Κέντρου.
10AM #Melissa Update: @53rdWRS and @NOAA_HurrHunter Hurricane Hunter aircraft find that Melissa continues to strengthen. Catastrophic winds are moving onshore southern Jamaica. THIS IS THE LAST CHANCE TO PROTECT YOUR LIFE! For more updates visit https://t.co/tW4KeGe9uJ pic.twitter.com/3jr34vkzrZ
— National Hurricane Center (@NHC_Atlantic) October 28, 2025
Ο Έβαν Τόμσον, διευθυντής της Μετεωρολογικής Υπηρεσίας της Τζαμάικα, λέει ότι ο τυφώνας θα προκαλέσει «απειλητικές για τη ζωή ζημιές» όταν φτάσει. «Είναι πολύ λίγα τα πράγματα που μπορούν να σταματήσουν έναν τυφώνα κατηγορίας 5» λέει, προσθέτοντας ότι η καταιγίδα απέχει περίπου 75 χιλιόμετρα (46 μίλια) από την άφιξή της. Ο ίδιος τόνισε ότι ο τυφώνας είναι πιθανό να φτάσει στην ξηρά στο Westmoreland ή στο St Elizabeth, στη δυτική ακτή της Τζαμάικα, προτού σταδιακά εξασθενήσει στην κατηγορία τέσσερα καθώς θα διασχίζει το νησί.
Ο τυφώνας Μελίσα θα προκαλέσει «καταστροφικές ζημιές» στην Τζαμάικα, δήλωσε ο πρωθυπουργός Άντριου Χόλνες την Τρίτη, πριν η καταιγίδα κατηγορίας 5 φτάσει στην ξηρά.
«Δεν υπάρχει υποδομή σε αυτή την περιοχή, ή ίσως σε κανένα μέρος του κόσμου, που να μπορεί να αντέξει έναν τυφώνα κατηγορίας 5 χωρίς να υποστεί κάποια ζημιά» πρόσθεσε. «Προσεύχομαι για τους κατοίκους και έχουμε προετοιμαστεί και προσευχόμαστε για το καλύτερο» είπε, ενθαρρύνοντας τους Τζαμαϊκανούς να «μείνουν μέσα και να ασφαλίσουν τα σπίτια τους».
«Μετά την καταστροφή, η ανάκαμψη θα απαιτήσει κάθε δυνατή βοήθεια».
Σύμφωνα με τα τελευταία δορυφορικά δεδομένα, το «μάτι» του τυφώνα άρχισε να κινείται πάνω από τις νότιες ακτές της Τζαμάικας. Η ζώνη του ματιού (eyewall), όπου καταγράφονται οι ισχυρότεροι άνεμοι – έως και 290 χιλιόμετρα την ώρα -, αναμένεται να προκαλέσει εκτεταμένες καταστροφές καθώς περνάει πάνω από το νησί.
Ο τυφώνας αναμένεται να πλήξει τη στεριά όταν το κέντρο του ματιού περάσει εξ ολοκλήρου πάνω από την ακτή, κάτι που αναμένεται να συμβεί μέσα στις επόμενες ώρες, προκαλώντας φόβους για σοβαρές ζημιές σε υποδομές και δίκτυα ενέργειας.
Σχεδόν 250.000 άνθρωποι έχουν μείνει χωρίς ρεύμα στην Τζαμάικα, σύμφωνα με τον υπουργό Ενέργειας της χώρας. «Το ηλεκτρικό δίκτυο έχει ήδη πληγεί από τις συνθήκες του τυφώνα, προκαλώντας αρκετές διακοπές ρεύματος σε όλο το νησί» δήλωσε ο Daryl Vaz σε συνέντευξη Τύπου.
Την ίδια ώρα, ο μετεωρολόγος Τζέρεμι ΝτεΧάρτ ανάρτησε βίντεο στο Χ από το εσωτερικό του τεράστιου «ματιού» του τυφώνα.
From a crewmember on yesterday’s Teal 74 mission into now-Category 5 Hurricane #Melissa. As clear of an eye as you will see in the Atlantic basin. pic.twitter.com/5tktvvrIR1
— Jeremy DeHart (@JeremyDeHartWX) October 27, 2025
«Μακριά από τα παράθυρα, φορέστε κράνος»
Μετά την είσοδο του τυφώνα στη στεριά, το Εθνικό Κέντρο Τυφώνων των Ηνωμένων Πολιτειών εξέδωσε νέα υπενθύμιση προς τους κατοίκους της Τζαμάικα με οδηγίες για την προσωπική τους ασφάλεια κατά τη διάρκεια του φαινομένου.
Ειδικότερα, οι Αρχές καλούν τους πολίτες να τηρήσουν αυστηρά τα μέτρα προστασίας και να παραμείνουν σε ασφαλή καταφύγια μέχρι να περάσει πλήρως η καταιγίδα.
Το Κέντρο συνιστά επίσης στους κατοίκους να βρίσκονται σε δωμάτια χωρίς παράθυρα, να καλυφθούν με στρώμα για προστασία και, αν είναι δυνατόν, να φορέσουν κράνος.
πηγή: protothema.gr



