
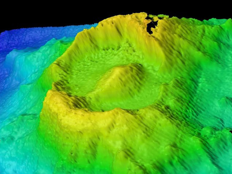
Ανακαλύφθηκε το “Μάτι του Σάουρον” και είναι ένα αρχαίο υποθαλάσσιο ηφαίστειο κοντά στη Νήσο των Χριστουγέννων
Το ερευνητικό σκάφος RV Investigator έπλεε στον Ινδικό ωκεανό και συγκεκριμένα στην επικράτεια της Αυστραλίας, 280 χιλιόμετρα νοτιοανατολικά από τη Νήσο των Χριστουγέννων, όταν αποκαλύφθηκε στις οθόνες του σκάφους ένα άγνωστο μέχρι σήμερα ηφαίστειο σε βάθος 3.100 μέτρων. Το υποθαλάσσιο ηφαίστειο, το οποίο ονομάστηκε “το Μάτι του Σάουρον” από την τριλογία του Άρχοντα των Δαχτυλιδιών, είναι ένα τεράστιο αρχαίο ηφαίστειο σε οβάλ σχήμα με καλντέρα 6.2×4.8 χιλιόμετρα, ενώ περιβάλλεται από τοιχώματα ύψους 300 μέτρων και έχει μία κωνική κορυφή στο κέντρο ύψους επίσης 300 μέτρων.
Το ηφαιστειακό “μάτι” δεν ήταν μόνο, καθώς περαιτέρω διερεύνηση της περιοχής αποκάλυψε στα νότια μία υποθαλάσσια οροσειρά η οποία είναι καλυμμένη από ηφαιστειακούς κώνους, ενώ ακόμα πιο νότια υπήρχε μία τεράστια επίπεδη επιφάνεια. Οι ερευνητές, ακολουθώντας πιστά την ονοματολογία από τον Άρχοντα των Δακτυλιδιών, τα ονόμασαν Barad-dur (Dark Fortress) και Ered Lithui (Ash Mountains).

Και τα τρία γεωλογικά στοιχεία εκτιμάται πως έχουν ηλικία 100 εκατομμυρίων ετών και σχηματίστηκαν σε μία εποχή που η Αυστραλία βρισκόταν αρκετά πιο νότια, κοντά στην Ανταρκτική. Η επίπεδη επιφάνεια του Ered Lithui σχηματίστηκε από τη διάβρωση των κυμάτων στην επιφάνεια, πριν ολόκληρη η οροσειρά υποχωρήσει στο βυθό, στα 2.6 χιλιόμετρα κάτω από την επιφάνεια.



